スタッフブログ
センター周辺の自然(ミズギボウシ・ネナシカズラなど)
三重県環境学習情報センターの近くに、ミズギボウシという薄紫色の花が咲いています。

ミズギボウシの花 (撮影 2025.9.7)
その花を見ていたら、タイワンタケクマバチが飛んできて、ミズギボウシの花にとまりました。
はじめは何の気なしに見ていたのですが、蜜を吸いに来たにしては、花の中に潜り込もうとせず、花の筒の部分にとまっています。どのミズギボウシにとまっても同じです。

ミズギボウシにとまるタイワンタケクマバチ (撮影 2025.9.7)
そう言えば… キムネクマバチ(クマバチ)は筒状の花の根元の近くに外から口吻を突き刺して、蜜を吸うことを思い出しました。このような行動は、花にとっては花粉を運んでもらえないので、「盗蜜」と呼ばれています。口吻が蜜まで届かないキムネクマバチにとっては、生きるための術なのでしょうけれど。

タイワンタケクマバチの盗蜜行動では (撮影 2025.9.7)
まさにタイワンタケクマバチも、ミズギボウシから蜜を盗んでいるということなのでしょうね。
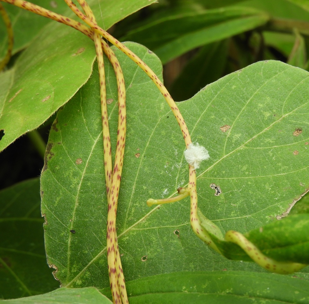
センターの近くにはネナシカズラも生えています。ネナシカズラは種子から発芽して伸びていくうちに他の植物に絡まる「つる植物」ですが、他の植物に絡みつくと、自分の根っこを切り離して、絡みついた植物から栄養をとる寄生のつる植物なのです。

ネナシカズラの茎には赤褐色の斑点がある (撮影 2025.8.17)
このネナシカズラに、今年は白い綿毛のようなものがついていることに先日気が付きました。

ネナシカズラのつるに白い綿毛のようなものが (撮影 2025.8.30)
何だろうと思ったのですが、見ているうちにハゴロモの仲間の「チュウゴクアミガサハゴロモの幼虫では」と思いあたりました。チュウゴクアミガサハゴロモは、最近各地で発見されている外来種です。幼虫は腹部の先の方に、まるで宝塚歌劇の人のように白い羽のような立派な飾りをつけています。この飾りは蝋物質で、自分で出しているのだそうです。

チュウゴクアミガサハゴロモの幼虫かな。(撮影 2025.9.7)
今日は顔を見てみようと思って、上からではなく横の方から写真を撮ってみました。

単なる綿毛ではなく、ちゃんと顔や足がありますよ (撮影 2025.9.7)
チュウゴクアミガサハゴロモの幼虫の体には黒斑があるそうですが、見えませんね。
日本の在来種のアミガサハゴロモの幼虫はカシ類が食樹のようなので、ネナシカズラについているこの虫は、やはりチュウゴクアミガサハゴロモなのでしょうねえ。
【木村】